APPARTAMENTO ALL'ASTA

In vendita
Appartamento
Paderno Dugnano
180.000 €
Descrizione
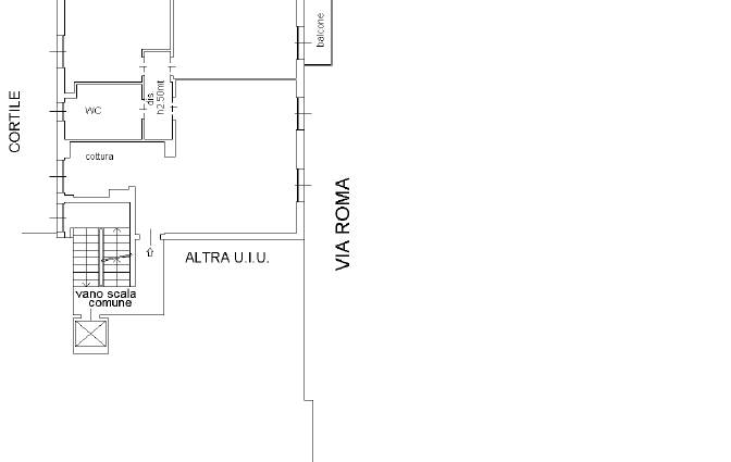
Appartamento della superficie commerciale di 115 mq
Ampio trilocale con doppio affaccio, ubicato al piano quarto (con ascensore) composto da: soggiorno con cucina a vista, disimpegno notte, due camere di cui una con balcone, bagno, ripostiglio in sottotetto.
L’unità è stata parzialmente riammodernata nel 2019.
Caratteristiche principali
Codice:
377/2024 U MI
Città:
Paderno Dugnano
Categoria:
Appartamento
Locali:
3
Camere:
2
Bagni:
1
Mq:
115
Balconi:
1
Piano:
4
Anno:
1957
Anno ristrutturazione:
2019
Classe energetica:
G
Accessori
Ascensore
Mappa
Via CESARE BATTISTI, 2 - Paderno Dugnano (MI)
Richiedi informazioni
Invia
Cookie preference